品质至上,客户至上,您的满意就是我们的目标
技术文章
当前位置: 首页 > 技术文章
利用Videometer多光谱成像系统研究奶酪组分、结构和功能
发表时间:2021-08-09 10:47:01点击:980
来源:北京博普特科技有限公司
分享:
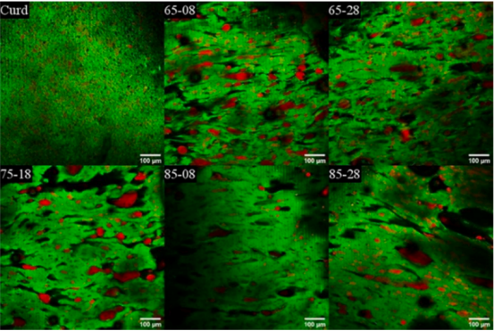
最近来自丹麦歌本哈根大学的科学家利用Videometer多光谱成像系统发表了题为Effect of residence time in the cooker-stretcher on mozzarella cheese composition, structure and functionality的文章,文章发表于Journal of Food EngineeringVolume 309, November 2021, 110690。多光谱成像技术在食品研究中有着巨大应用前景。

Highlights
Cooking and Stretching residence times (RT) affect cooker-stretcher performance.
CRT was longer than SRT independent of curd temperature or screw speed.
CRT linearly affected the composition, anisotropy and storage modulus of cheeses.
In stretcher studied, SRT had less effect on cheese properties and functionality.
To manufacture mozzarella cheese with customized attributes the relationships between processing parameters and cheese functionality need to be identified. In this study, cooking residence time (CRT) and stretching residence time (SRT) of cheese curd in the cooker-stretcher were determined to differentiate the effect of the cooking and stretching processes on cheese properties. Residence times were linked to cheese composition, micro- and macro-structural characteristics (microstructure, fat globule size, anisotropy and rheology) and functional properties (meltability, oiling-off, browning and stretchability). In the stretcher used, CRT was significantly longer than SRT independent of curd temperature or screw speed. Linear correlations were found between CRT and cheese composition, anisotropy and storage modulus. SRT had a less significant effect on cheese properties, due to the low specific mechanical energy 0.15–0.46 kJ kg−1 and relatively short SRT. It was concluded that CRT and SRT are promising factors to understand and control mozzarella cheese characteristics during manufacture.
Keywords
Mozzarella Cooking Stretching Residence time